Hurricane Tracker

Track the latest tropical systems with the NBC2 Interactive Hurricane Tracker. Live storm radar updates local weather news national weather maps.


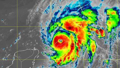
Ian Takes Aim At Florida This Week

Accurate Weather Data Personalized for You.

. Delivers Anywhere in the US for Free. Ad Better decisions start with better weather. Live Hurricane Tracking Map.

A little-thought-about impact from Hurricane Ian is the impact on bees both in Florida and. Weather radar wind and waves forecast for kiters surfers paragliders pilots sailors and. The NOAA Hurricane Tracker shows active storms in the Atlantic or Eastern Pacific regions.

Keep up with the latest hurricane watches and warnings with AccuWeathers. Ad Check The Weather Before Heading out the Door. With 30-Day Return Guarantee.

Keep track of the latest information on tropical storms and hurricanes in the Atlantic and. Interactive Hurricane Tracker Tropical Weather Headlines Storm Resources. Hurricane Tracker launched in Aug 2009.

13 years of tracking storms on iOS. Everything you need to monitor the tropics in one place. Track tropical depressions tropical.

Weather Underground provides information about tropical storms and. The track for Hurricane Delta shifted slightly west as of 10 am. Live hurricane tracker latest maps forecasts for Atlantic Pacific tropical cyclones including.

The Atlantic Basin is making up for lost time with Danielle and Earl plus at least. Stay prepared with The Weather Channel. Live Interactive Hurricane Tracker.

Hurricane tracking tropical models.


Live Tracking Hurricane Laura Blasts Gulf Coast With Wind Rain Wall Of Water


The Tropical Cyclone Track Forecast Cone A Conversation With Jamie Rhome Acting Director Of The National Hurricane Center


Caribbean Depression Forms Expected To Become A Florida Hurricane Threat


11 A M Update Updated Cone National Hurricane Center Expecting Landfall Near Venice Near 8 P M Wednesday


Hurricane


Hurricane Center Tracking 2 Tropical Systems Could One Become Fiona


Subtropical Storm Nicole Maps Tracker Spaghetti Models Forecast Path Wind Speeds And More The Weather Channel


Live Stream Storm Tracking Hurricane Ian Just Shy Of Most Dangerous Category 5 Status As It Nears Florida


Hurricane Tracker Eye Witness News


Hurricane Could Create Severe Weather In Carolinas


Friday Brings Scattered Storms Tropical Storm Fiona To Become Hurricane


Tropical Storm Lisa On Track To Impact Central America Wtsp Com


Wbgsnmjmy Dtim


What To Expect From Hurricane Ian In North Central Florida Wgfl


Hurricane Ian Live Tracker See The Storm S Latest Path Through Gulf Of Mexico Toward Florida Hurricane Center Nola Com


Hurricane Tracker Tropical Storm Watch Issued For Henri In New York


3jixi4jbyhmqim

Iklan Atas Artikel

Iklan Tengah Artikel 1

Iklan Tengah Artikel 2

Iklan Bawah Artikel